Service Guide

Get Ants Extermination Service

Local contractors offer ant extermination services to eliminate infestations, protect properties, and handle residential or commercial pest control projects effectively.

Ants can quickly become a persistent nuisance for property owners, making professional extermination services an important consideration for effective control. Whether dealing with an ongoing infestation or seeking preventative measures, local contractors specializing in ant extermination are equipped to assess the situation and recommend suitable solutions. Exploring these services can help property owners make informed decisions about managing ant problems and maintaining a comfortable, pest-free environment.

As property owners evaluate options for ant control, comparing local service providers can ensure access to experienced professionals who understand the specific challenges of the area. Planning a pest management project with the help of trusted contractors allows for tailored approaches that address unique property needs. Continuing to explore available services can lead to finding the right support for effective, lasting ant extermination.

Get Ants Extermination Service Quotes

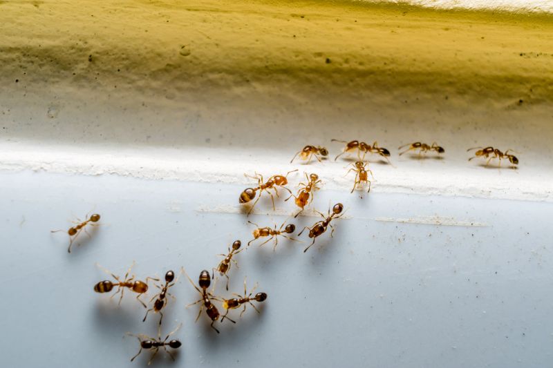
  • Ants Extermination - needed when ants invade kitchens or other indoor spaces.
  • Ants Prevention - required to keep ants from returning after initial removal.
  • Ants Inspection - essential for identifying ant entry points and nests.
  • Ants Barrier Treatment - used to create a protective zone around the home to deter ants.
  • Ants Removal - necessary when ants have established large colonies on the property.
Ants Extermination Service
Ants Extermination Service
Ants Extermination Service

Ants extermination services involve identifying and eliminating ant infestations within a property. Professional contractors typically conduct thorough inspections to locate ant colonies and determine the species involved. Treatment methods may include the application of targeted baits, insecticides, or barrier treatments designed to eradicate ants at their source. These services aim to provide a comprehensive solution that not only removes visible ants but also addresses hidden nests to prevent future invasions.

This service helps resolve common problems caused by ant infestations, such as property damage, contamination of food supplies, and general nuisance. Ants can invade kitchens, pantries, and other areas where food is stored, making it difficult to maintain a clean and hygienic environment. In some cases, certain types of ants, like carpenter ants, can cause structural damage by tunneling into wood. Professional extermination ensures that these issues are addressed effectively, reducing the risk of ongoing problems.

Ant extermination services are suitable for a variety of property types, including single-family homes, apartment complexes, and commercial buildings. Homes with visible ant trails or frequent sightings often benefit from professional treatment. Commercial properties, especially those involved in food service or retail, may also require regular pest control to maintain sanitation standards. Regardless of the property size, experienced service providers can tailor their approach to suit the specific needs of each location, ensuring a thorough and lasting solution.

Homeowners typically seek ant extermination services when they notice persistent ant activity or signs of nests within or around their property. Common indicators include small trails of ants near food sources, unexplained dirt mounds, or damaged wood. If ants are becoming a recurring problem despite basic cleaning efforts, professional pest control can help eliminate the infestation and implement preventative measures. Contacting local service providers can provide the expertise needed to regain control and keep properties ant-free.

The overview below groups typical Ants Extermination Service projects into broad ranges so you can see how smaller, mid-sized, and larger jobs often compare in your area.

In many markets, a large share of routine jobs stays in the lower and middle ranges, while only a smaller percentage of projects moves into the highest bands when the work is more complex or site conditions are harder than average.

Basic Ant Control - Most routine ant extermination services for small to medium-sized homes typically cost between $250 and $600. Many projects fall within this range, covering standard treatment methods to eliminate common ant infestations.

Localized Treatments - For targeted ant issues in specific areas, local contractors often charge between $150 and $400. These projects are usually straightforward and tend to stay within the lower to mid-range pricing tiers.

Full Property Treatments - Comprehensive extermination for larger properties or severe infestations can range from $600 to $1,200. Larger, more complex projects may push into higher tiers, but most fall within this typical range.

Ongoing Prevention Plans - Many service providers offer maintenance or prevention plans that can cost between $200 and $500 annually. These plans are common for homeowners seeking to prevent future ant problems and generally stay within the middle pricing bands.

Actual totals will depend on details like access to the work area, the scope of the project, and the materials selected, so use these as general starting points rather than exact figures.

Get a Quote

Pest Control for Cockroaches - professionals skilled in identifying and eliminating pests that require similar treatment methods as ant extermination services.

Termite Inspection and Treatment - local contractors who handle invasive insects with planning and tools comparable to those used for ant control.

Rodent Exclusion Services - experts who use similar sealing techniques and strategic planning to prevent pest entry points as ant exterminators.

Spider and Insect Removal - service providers experienced in managing various household insects, employing comparable tools and approaches.

Bed Bug Treatment - specialists who utilize targeted methods and planning comparable to ant extermination to eliminate persistent pests.

Wildlife Removal Services - contractors who handle pest-related issues that require similar assessment and exclusion strategies as ant control efforts.

Ants Extermination Service

When comparing local contractors for ant extermination services, it’s important to consider their experience with similar projects. Homeowners should look for service providers who have a proven track record in handling ant infestations in residential settings. An experienced contractor will understand the common challenges and effective treatment methods, which can contribute to a more efficient and successful solution. While experience alone isn’t the only factor, it provides a useful indication of a contractor’s familiarity with the job and their ability to address specific pest issues effectively.

Clear written expectations are essential when evaluating potential service providers. Homeowners should seek out contractors who can provide detailed descriptions of their proposed treatment plans, including the methods they intend to use and the areas they will target. Having this information in writing helps ensure that both parties are aligned on the scope of work and can prevent misunderstandings. Transparent communication about what the service entails allows homeowners to make informed decisions and feel confident in the contractor’s approach.

Reputable references and good communication practices are key indicators of a reliable local contractor. Homeowners are encouraged to ask for references from previous clients who had similar ant problems, as this can offer insight into the contractor’s quality of work and professionalism. Additionally, a service provider who communicates clearly and promptly can make the process smoother and more transparent. While the site introduces homeowners to local options, it’s important to remember that the actual work is performed by these local contractors, who are responsible for delivering quality service based on their experience, clarity, and communication skills.

Get an Ants Extermination Service Quote

Property owners use Ants Extermination Service services for practical projects around their homes and businesses. This guide focuses on everyday jobs and straightforward project options.

Ants Extermination Service
Ants Extermination Service

Ants can become a common nuisance for property owners dealing with everyday household or outdoor projects. Whether ants are invading a kitchen, nesting in a garden bed, or creating trails along a walkway, many people seek professional assistance to manage these persistent pests. Local contractors specializing in ant extermination can provide effective solutions to eliminate colonies and prevent future infestations, helping homeowners maintain a clean and comfortable environment.

In addition to household concerns, property owners might notice ant activity around patios, garages, or landscaping features, prompting the need for expert intervention. Local service providers are equipped to assess the extent of an ant problem and recommend targeted treatments that address the root of the issue. Connecting with experienced contractors can make it easier to resolve ant-related challenges quickly and efficiently, ensuring the property remains pest-free.

Get an Ants Extermination Service Quote

What are common signs of an ant infestation? Signs include visible ant trails, small piles of dirt or debris near entry points, and the presence of ants inside the home or yard.

How do local contractors typically handle ant extermination? They often use targeted treatments such as bait stations, residual sprays, and barrier applications to eliminate ants and prevent future invasions.

Are there specific types of ants that require different treatment methods? Yes, different ant species may require tailored approaches, but professional service providers can identify the species and recommend appropriate solutions.

What steps can be taken to prevent future ant problems? Keeping areas clean, sealing entry points, removing food and water sources, and consulting local contractors for ongoing protection can help prevent re-infestations.

How can I find local pros who specialize in ant extermination? This website helps connect homeowners with local service providers experienced in ant control and extermination services.

Ants Prevention Tips - Property owners can learn strategies to reduce attractants and prevent ant infestations around their homes or businesses.

Inspection and Monitoring - Local contractors can assess areas prone to ant activity and recommend ongoing monitoring solutions.

Barrier Treatments - Homeowners can explore barrier methods to create physical or chemical defenses against ant entry points.

Integrated Pest Management Plans - Property managers can develop comprehensive plans that combine exclusion, sanitation, and treatment for long-term control.

Ants Extermination Service

If you are thinking about Ants Extermination Service for a property, this guide is meant to help you understand the work, the typical project types, and how different options might fit your plans.

When you are ready, you can use the quote form on this page to share a few details about your project. From there, local pros can review the basics and respond with options that match what you have in mind.

Get a Quote

Ants Extermination Quotes

Our Trusted Partners
Kilter Termite and Pest Control
Bulwark Exterminating
Peppermint Pest Control